조황관리HOME / 조황관리 / 상세정보

제목 : [ 볼락루어 ] 04/18 욕지권 밤볼락 조황
등록일 : 2026-04-19






[ 두모1호 ] 04/18 볼락루어 출항 조황
* 볼락루어 전용선 매일 출조 *
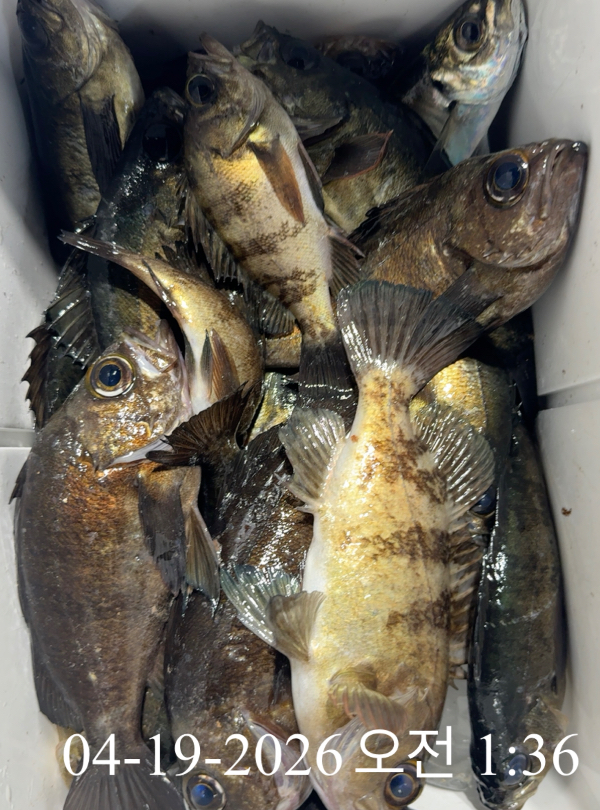
>> 욕지권 밤볼락 조황 <<

잔잔한 바다기상 이었지만 너울성 파도는 조금 있었던 바다상황이었습니다. 
첫 포인트에서는 해지기전 반피딩 입질이 시작되었습니다. 하지만 어두워지면서 간간히 들어오는 입질과 너울파도가 조금더 심해지는 상황에 포인트 이동을 하였습니다. 밤이 깊어지면서 진입한 포인트에서는 낱마리 입질만 들어오는 출조였습니다. 

매일 오후5시30분 밤볼락 출조합니다. 

통영권 매물도,좌사리도,국도,연화도, 욕지도, 두미도, 갈도까지 시즌동안 물때와 바다상황을 고려해 매일 볼락 찾아 열심히 출조합니다.


          >>>>> 예약현황 <<<<<

>>> 볼락루어 전문출조 <<<
>>> 실시간 예약창 <<<

## 선상 24시

04/19  일요일   예약가능
04/20  월요일   예약가능
04/21  화요일   예약가능
04/22  수요일   예약가능
04/23  목요일   예약가능
04/24  금요일   예약가능
04/25  토요일   예약가능
04/26  일요일   예약가능

예약문의 010 4576 8989 두모호 선장 

예약계좌 
수협 0010 4577 2694 나미향 (두모호)

• 계좌입금 순으로 예약확정 됩니다
• 입금 후 반드시 문자 확인 바랍니다

기상만 허락 한다면 매일 볼락루어 출조합니다

볼락루어 낚시 전문 ....달아두모호 입니다..
====================
######### 신분증 지참 / 구명복 착용 / 선내 음주금지.
######### 지그헤드 1~ 5그램 / 전용릴 / 전용낚시대
========================================
## 루어선상 전문출조선 입니다.. 선상출조객만 모십니다. ##


출조시 매일 오후8시 
라이브 방송
유튜버 실시간 조황

# 선상출조만 합니다.
# 출조비 : 욕지권,매물도권10만, 원도권 12만
(통영 최고의 따뜻한 도시락 제공)
# 선내 : 커피, 생수 완비
# 볼락출조: 오후 5시30분 - 새벽1시 철수
# 출 조 지 : 갈도,좌사리도,매물도,
                     욕지권 전문출조
==================================
## 경남 통영시 산양읍 미남리 822-12
## 두모호 이선장 010 - 4576 – 8989 
#갈치 #텐빈 #볼락루어 #팁런 #참돔타이라바
#방어지깅 #한치 #문어종일낚시 




*** 통영 두모1호 예약 안내 ***


예약문의 : 010-4576-8989

오시는길 : 경남 통영시 산양읍 산양일주로 285


모바일.jpg
Top