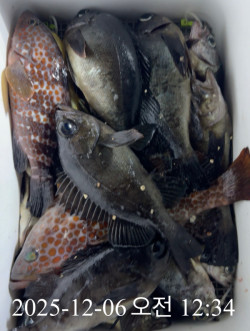
[ 두모1호 ] 01/14 볼락루어 출항 조황* 볼락루어 전용선 매일 출조 *>> 욕지권 저수온에 바닥층 밤볼락 조황 <<잔잔한 바다기상 이었습니다. 욕지부속섬 다녀왔습니다. 해 지기전 제법 굵은 볼락의 입질이 시작 되었지만 날물로 돌아 서면서 급격히 떨어진 수온 탓인지 바닥 층으로 가라앉아 까탈스런 입질을 보였습니다. 저수온이 바닥을 찍는 날의 볼락 입질은 예민 하다 못해 사악한 입질로 보이는 경우가 허다 합니다. 하지만 무거운 채비로 바닥층을 노린 조사님의 쿨러에는 제법 굵은씨알로 묵직한 쿨러조황을 올리기도 하였습니다. 내일은 고르지 못한 기상으로 휴항 합니다. 매일 오후4시30분 밤볼락 출조합니다. 통영권 매물도,좌사리도,국도,연화도, 욕지도, 두미도, 갈도까지 시즌동안 물때와 바다상황을 고려해 매일 볼락 찾아 열심히 출조합니다. >>>>> 예약현황 <<<<<>>> 볼락루어 전문출조 <<<>>> 실시간 예약창 <<<## 선상 24시https://cyfishing.sunsang24.com/ship/info 01/15 목요일 기상불량01/16 금요일 예약가능01/17 토요일 예약완료01/18 일요일 예약완료01/19 월요일 예약가능01/20 화요일 예약가능01/21 수요일 예약가능01/22 목요일 예약가능예약문의 010 4576 8989 두모호 선장 예약계좌 수협 0001 6619 3852 이경순 (두모호)• 계좌입금 순으로 예약확정 됩니다• 입금 후 반드시 문자 확인 바랍니다기상만 허락 한다면 매일 볼락루어 출조합니다볼락루어 낚시 전문 ....달아두모호 입니다..====================######### 신분증 지참 / 구명복 착용 / 선내 음주금지.######### 지그헤드 1~ 5그램 / 전용릴 / 전용낚시대========================================## 루어선상 전문출조선 입니다.. 선상출조객만 모십니다. ##밴드가입 https://band.us/@tongkeunho 출조시 매일 오후8시 라이브 방송유튜버 실시간 조황https://youtube.com/@fish1788?si=KIzikh6MoAC1y43J# 선상출조만 합니다.# 출조비 : 욕지권,매물도권10만, 원도권 12만(통영 최고의 따뜻한 도시락 제공)# 선내 : 커피, 생수 완비# 볼락출조: 오후 4시30분 - 새벽1시 철수# 출 조 지 : 갈도,좌사리도,매물도, 욕지권 전문출조==================================## 경남 통영시 산양읍 미남리 822-12## 두모호 이선장 010 - 4576 – 8989 #갈치 #텐빈 #볼락루어 #참돔타이라바#방어지깅 #한치 *** 통영 두모호 예약 안내 ***예약문의 : 010-4576-8989오시는길 : 경남 통영시 산양읍 산양일주로 285홈페이지 : https://cyfishing.sunsang24.com/
[ 두모1호 ] 01/13 볼락루어 출항 조황* 볼락루어 전용선 매일 출조 *>> 통영 비진도 밤볼락 조황 <<출항 시간대에는 강한 바람이 불었지만 밤이 깊어지면서 바람은 잦아 들기 시작 하였습니다. 이틀동안 불었던 바람 탓에 너울 파도가 제법 있는 이유에서인지 중층에서의 입질은 이어졌지만 상층입질은 받을수가 없었던 출조였습니다. 마릿수 조과는 올릴 수 없었던 조황 이었습니다. 내일은 욕지권으로 직항합니다. 매일 오후4시30분 밤볼락 출조합니다. 통영권 매물도,좌사리도,국도,연화도, 욕지도, 두미도, 갈도까지 시즌동안 물때와 바다상황을 고려해 매일 볼락 찾아 열심히 출조합니다. >>>>> 예약현황 <<<<<>>> 볼락루어 전문출조 <<<>>> 실시간 예약창 <<<## 선상 24시https://cyfishing.sunsang24.com/ship/info 01/14 수요일 예약가능01/15 목요일 예약가능01/16 금요일 예약가능01/17 토요일 예약가능01/18 일요일 예약완료01/19 월요일 예약가능01/20 화요일 예약가능01/21 수요일 예약가능예약문의 010 4576 8989 두모호 선장 예약계좌 수협 0001 6619 3852 이경순 (두모호)• 계좌입금 순으로 예약확정 됩니다• 입금 후 반드시 문자 확인 바랍니다기상만 허락 한다면 매일 볼락루어 출조합니다볼락루어 낚시 전문 ....달아두모호 입니다..====================######### 신분증 지참 / 구명복 착용 / 선내 음주금지.######### 지그헤드 1~ 5그램 / 전용릴 / 전용낚시대========================================## 루어선상 전문출조선 입니다.. 선상출조객만 모십니다. ##밴드가입 https://band.us/@tongkeunho 출조시 매일 오후8시 라이브 방송유튜버 실시간 조황https://youtube.com/@fish1788?si=KIzikh6MoAC1y43J# 선상출조만 합니다.# 출조비 : 욕지권,매물도권10만, 원도권 12만(통영 최고의 따뜻한 도시락 제공)# 선내 : 커피, 생수 완비# 볼락출조: 오후 4시30분 - 새벽1시 철수# 출 조 지 : 갈도,좌사리도,매물도, 욕지권 전문출조==================================## 경남 통영시 산양읍 미남리 822-12## 두모호 이선장 010 - 4576 – 8989 #갈치 #텐빈 #볼락루어 #참돔타이라바#방어지깅 #한치 *** 통영 두모호 예약 안내 ***예약문의 : 010-4576-8989오시는길 : 경남 통영시 산양읍 산양일주로 285홈페이지 : https://cyfishing.sunsang24.com/
[ 두모1호 ] 01/11 볼락루어 출항 조황* 볼락루어 전용선 매일 출조 *>> 통영 준내만권 밤볼락 조황 <<고르지 못한 바다기상으로 인해 며칠 푹 쉬다가 밤볼락이 궁금하여 바람이 다소 부는 가운데 준내만권 다녀왔습니다. 다행히 밤이 깊어지면서 바람도 잦아들어 몇 포인트 진입 해 보았습니다. 한두 포인트에는 굵은씨알의 입질도 있었으며 진입하는 포인트마다 볼락의 입질은 받을 수 있었습니다. 내일은 고르지 못한 바다기상에 하루 휴항하고 01/13 화요일 정상 출항 합니다. 매일 오후4시30분 밤볼락 출조합니다. 통영권 매물도,좌사리도,국도,연화도, 욕지도, 두미도, 갈도까지 시즌동안 물때와 바다상황을 고려해 매일 볼락 찾아 열심히 출조합니다. >>>>> 예약현황 <<<<<>>> 볼락루어 전문출조 <<<>>> 실시간 예약창 <<<## 선상 24시https://cyfishing.sunsang24.com/ship/info 01/12 월요일 기상불량01/13 화요일 예약가능01/14 수요일 예약가능01/15 목요일 예약가능01/16 금요일 예약가능01/17 토요일 예약가능01/18 일요일 예약완료01/19 월요일 예약가능예약문의 010 4576 8989 두모호 선장 예약계좌 수협 0001 6619 3852 이경순 (두모호)• 계좌입금 순으로 예약확정 됩니다• 입금 후 반드시 문자 확인 바랍니다기상만 허락 한다면 매일 볼락루어 출조합니다볼락루어 낚시 전문 ....달아두모호 입니다..====================######### 신분증 지참 / 구명복 착용 / 선내 음주금지.######### 지그헤드 1~ 5그램 / 전용릴 / 전용낚시대========================================## 루어선상 전문출조선 입니다.. 선상출조객만 모십니다. ##밴드가입 https://band.us/@tongkeunho 출조시 매일 오후8시 라이브 방송유튜버 실시간 조황https://youtube.com/@fish1788?si=KIzikh6MoAC1y43J# 선상출조만 합니다.# 출조비 : 욕지권,매물도권10만, 원도권 12만(통영 최고의 따뜻한 도시락 제공)# 선내 : 커피, 생수 완비# 볼락출조: 오후 4시30분 - 새벽1시 철수# 출 조 지 : 갈도,좌사리도,매물도, 욕지권 전문출조==================================## 경남 통영시 산양읍 미남리 822-12## 두모호 이선장 010 - 4576 – 8989 #갈치 #텐빈 #볼락루어 #참돔타이라바#방어지깅 #한치 *** 통영 두모호 예약 안내 ***예약문의 : 010-4576-8989오시는길 : 경남 통영시 산양읍 산양일주로 285홈페이지 : https://cyfishing.sunsang24.com/
[ 두모1호 ] 01/06 볼락루어 출항 조황* 볼락루어 전용선 매일 출조 *>> 갈도 밤볼락 조황 <<잔잔한 바다기상에 갈도 다녀왔습니다. 서쪽 포인트에는 바람과 파도가 조금 있었으며 20cm급 볼락의 입질이 간간히 들어왔지만 마릿수가 좀 모자란 듯 하여 동쪽 포인트로 재빠르게 옮겼습니다. 진입한 포인트에는 수초가 제법 자리잡고 있었으며 20cm급 볼락의 입질을 그나마 따문따문 받아낼수 있었습니다. 밤11시가 넘으면서 바람으로 인해 욕지권으로 이동 하였지만 볼락의 입질이 시작되는 즈음 철수를 해야하는 아쉬움을 남겼습니다. 내일은 고르지 못한 바다기상에 하루 휴항하고 01/08 목요일 정상 출항 합니다. 매일 오후4시30분 밤볼락 출조합니다. 통영권 매물도,좌사리도,국도,연화도, 욕지도, 두미도, 갈도까지 시즌동안 물때와 바다상황을 고려해 매일 볼락 찾아 열심히 출조합니다. >>>>> 예약현황 <<<<<>>> 볼락루어 전문출조 <<<>>> 실시간 예약창 <<<## 선상 24시https://cyfishing.sunsang24.com/ship/info 01/07 수요일 기상불량01/08 목요일 예약가능01/09 금요일 예약가능01/10 토요일 예약가능01/11 일요일 예약완료01/12 월요일 예약가능01/13 화요일 예약가능01/14 수요일 예약가능예약문의 010 4576 8989 두모호 선장 예약계좌 수협 0001 6619 3852 이경순 (두모호)• 계좌입금 순으로 예약확정 됩니다• 입금 후 반드시 문자 확인 바랍니다기상만 허락 한다면 매일 볼락루어 출조합니다볼락루어 낚시 전문 ....달아두모호 입니다..====================######### 신분증 지참 / 구명복 착용 / 선내 음주금지.######### 지그헤드 1~ 5그램 / 전용릴 / 전용낚시대========================================## 루어선상 전문출조선 입니다.. 선상출조객만 모십니다. ##밴드가입 https://band.us/@tongkeunho 출조시 매일 오후8시 라이브 방송유튜버 실시간 조황https://youtube.com/@fish1788?si=KIzikh6MoAC1y43J# 선상출조만 합니다.# 출조비 : 욕지권,매물도권10만, 원도권 12만(통영 최고의 따뜻한 도시락 제공)# 선내 : 커피, 생수 완비# 볼락출조: 오후 4시30분 - 새벽1시 철수# 출 조 지 : 갈도,좌사리도,매물도, 욕지권 전문출조==================================## 경남 통영시 산양읍 미남리 822-12## 두모호 이선장 010 - 4576 – 8989 #갈치 #텐빈 #볼락루어 #참돔타이라바#방어지깅 #한치 *** 통영 두모호 예약 안내 ***예약문의 : 010-4576-8989오시는길 : 경남 통영시 산양읍 산양일주로 285홈페이지 : https://cyfishing.sunsang24.com/
[ 두모1호 ] 01/04 볼락루어 출항 조황* 볼락루어 전용선 매일 출조 *>> 욕지부속섬 볼락 조황 <<오늘은 포인트 이동거리가 멀었던 바다상황 이었으며 밤이 깊어지면서 욕지본섬에는 바람도 심하게 일어났습니다. 몰밭 포인트에서는 제법 굵은씨알이 낚여 올라왔지만 마릿수가 많이 부족한 조황 이었습니다. 사리물때의 시기라 그런지 물색이 어두웠고 본류 조류의 힘때문에 지류대에는 힘없이 왔다갔다 하는 조류 였던 출조였습니다. 물색이 돌아오고 물때가 부드러워 지면 밤볼락 조황이 살아 나기를 기대 해 봅니다. 내일도 밤볼락 출조합니다. (자리널널)매일 오후4시30분 밤볼락 출조합니다. 통영권 매물도,좌사리도,국도,연화도, 욕지도, 두미도, 갈도까지 시즌동안 물때와 바다상황을 고려해 매일 볼락 찾아 열심히 출조합니다. >>>>> 예약현황 <<<<<>>> 볼락루어 전문출조 <<<>>> 실시간 예약창 <<<## 선상 24시https://cyfishing.sunsang24.com/ship/info 01/05 월요일 예약가능01/06 화요일 예약가능01/07 수요일 예약가능01/08 목요일 예약가능01/09 금요일 예약가능01/10 토요일 예약가능01/11 일요일 예약완료01/12 월요일 예약가능예약문의 010 4576 8989 두모호 선장 예약계좌 수협 0001 6619 3852 이경순 (두모호)• 계좌입금 순으로 예약확정 됩니다• 입금 후 반드시 문자 확인 바랍니다기상만 허락 한다면 매일 볼락루어 출조합니다볼락루어 낚시 전문 ....달아두모호 입니다..====================######### 신분증 지참 / 구명복 착용 / 선내 음주금지.######### 지그헤드 1~ 5그램 / 전용릴 / 전용낚시대========================================## 루어선상 전문출조선 입니다.. 선상출조객만 모십니다. ##밴드가입 https://band.us/@tongkeunho 출조시 매일 오후8시 라이브 방송유튜버 실시간 조황https://youtube.com/@fish1788?si=KIzikh6MoAC1y43J# 선상출조만 합니다.# 출조비 : 욕지권,매물도권10만, 원도권 12만(통영 최고의 따뜻한 도시락 제공)# 선내 : 커피, 생수 완비# 볼락출조: 오후 4시30분 - 새벽1시 철수# 출 조 지 : 갈도,좌사리도,매물도, 욕지권 전문출조==================================## 경남 통영시 산양읍 미남리 822-12## 두모호 이선장 010 - 4576 – 8989 #갈치 #텐빈 #볼락루어 #참돔타이라바#방어지깅 #한치 *** 통영 두모호 예약 안내 ***예약문의 : 010-4576-8989오시는길 : 경남 통영시 산양읍 산양일주로 285홈페이지 : https://cyfishing.sunsang24.com/
[ 두모1호 ] 01/03 볼락루어 출항 조황* 볼락루어 전용선 매일 출조 *>> 욕지부속섬 몰밭 볼락 조황 <<오늘은 포인트 이동이 많았던 하루였습니다. 진입하는 포인트마다 몇마리씩 낚였지만 활성도 강한 피딩은 딱히 없었던 출조였습니다. 특히 몰밭 위주의 포인트에서는 어김없이 굵은씨알의 입질을 받을 수 있었습니다. 몰밭 포인트 시즌이 시작 되었음을 실감 할수 있었습니다. 내일도 밤볼락 출조합니다. (자리널널)매일 오후4시30분 밤볼락 출조합니다. 통영권 매물도,좌사리도,국도,연화도, 욕지도, 두미도, 갈도까지 시즌동안 물때와 바다상황을 고려해 매일 볼락 찾아 열심히 출조합니다. >>>>> 예약현황 <<<<<>>> 볼락루어 전문출조 <<<>>> 실시간 예약창 <<<## 선상 24시https://cyfishing.sunsang24.com/ship/info 01/04 일요일 예약가능01/05 월요일 예약가능01/06 화요일 예약가능01/07 수요일 예약가능01/08 목요일 예약가능01/09 금요일 예약가능01/10 토요일 예약가능01/11 일요일 예약완료예약문의 010 4576 8989 두모호 선장 예약계좌 수협 0001 6619 3852 이경순 (두모호)• 계좌입금 순으로 예약확정 됩니다• 입금 후 반드시 문자 확인 바랍니다기상만 허락 한다면 매일 볼락루어 출조합니다볼락루어 낚시 전문 ....달아두모호 입니다..====================######### 신분증 지참 / 구명복 착용 / 선내 음주금지.######### 지그헤드 1~ 5그램 / 전용릴 / 전용낚시대========================================## 루어선상 전문출조선 입니다.. 선상출조객만 모십니다. ##밴드가입 https://band.us/@tongkeunho 출조시 매일 오후8시 라이브 방송유튜버 실시간 조황https://youtube.com/@fish1788?si=KIzikh6MoAC1y43J# 선상출조만 합니다.# 출조비 : 욕지권,매물도권10만, 원도권 12만(통영 최고의 따뜻한 도시락 제공)# 선내 : 커피, 생수 완비# 볼락출조: 오후 4시30분 - 새벽1시 철수# 출 조 지 : 갈도,좌사리도,매물도, 욕지권 전문출조==================================## 경남 통영시 산양읍 미남리 822-12## 두모호 이선장 010 - 4576 – 8989 #갈치 #텐빈 #볼락루어 #참돔타이라바#방어지깅 #한치 *** 통영 두모호 예약 안내 ***예약문의 : 010-4576-8989오시는길 : 경남 통영시 산양읍 산양일주로 285홈페이지 : https://cyfishing.sunsang24.com/
[ 두모1호 ] 01/02 볼락루어 출항 조황* 볼락루어 전용선 매일 출조 *>> 장사도, 용초도 볼락 조황 <<병오년 새해가 시작 되었습니다. 조사님들 가정가정 마다 평안과 행복이 가득 차시길 기원합니다. 북성풍이 다소 부는 가운데 장사도 용초도 다녀왔습니다. 바람 방향과 달리 남풍 너울이 제법 갯바위를 훑어 내리는 바다상황 이었습니다. 고르지 못한 바다기상에 낱마리 조과에 그친 출조였습니다. 내일은 욕지권으로 직항 합니다. 매일 오후4시30분 밤볼락 출조합니다. 통영권 매물도,좌사리도,국도,연화도, 욕지도, 두미도, 갈도까지 시즌동안 물때와 바다상황을 고려해 매일 볼락 찾아 열심히 출조합니다. >>>>> 예약현황 <<<<<>>> 볼락루어 전문출조 <<<>>> 실시간 예약창 <<<## 선상 24시https://cyfishing.sunsang24.com/ship/info 01/03 토요일 예약가능01/04 일요일 예약가능01/05 월요일 예약가능01/06 화요일 예약가능01/07 수요일 예약가능01/08 목요일 예약가능01/09 금요일 예약가능01/10 토요일 예약가능예약문의 010 4576 8989 두모호 선장 예약계좌 수협 0001 6619 3852 이경순 (두모호)• 계좌입금 순으로 예약확정 됩니다• 입금 후 반드시 문자 확인 바랍니다기상만 허락 한다면 매일 볼락루어 출조합니다볼락루어 낚시 전문 ....달아두모호 입니다..====================######### 신분증 지참 / 구명복 착용 / 선내 음주금지.######### 지그헤드 1~ 5그램 / 전용릴 / 전용낚시대========================================## 루어선상 전문출조선 입니다.. 선상출조객만 모십니다. ##밴드가입 https://band.us/@tongkeunho 출조시 매일 오후8시 라이브 방송유튜버 실시간 조황https://youtube.com/@fish1788?si=KIzikh6MoAC1y43J# 선상출조만 합니다.# 출조비 : 욕지권,매물도권10만, 원도권 12만(통영 최고의 따뜻한 도시락 제공)# 선내 : 커피, 생수 완비# 볼락출조: 오후 4시30분 - 새벽1시 철수# 출 조 지 : 갈도,좌사리도,매물도, 욕지권 전문출조==================================## 경남 통영시 산양읍 미남리 822-12## 두모호 이선장 010 - 4576 – 8989 #갈치 #텐빈 #볼락루어 #참돔타이라바#방어지깅 #한치 *** 통영 두모호 예약 안내 ***예약문의 : 010-4576-8989오시는길 : 경남 통영시 산양읍 산양일주로 285홈페이지 : https://cyfishing.sunsang24.com/
[ 두모1호 ] 12/30 볼락루어 출항 조황* 볼락루어 전용선 매일 출조 *>> 욕지부속섬 조황 <<북풍계열의 바람이 다소 불었으며 포인트 진입 하기에 어려움이 있었습니다. 첫포인트는 중층에서 입질을 받아 낼수 있었으며 다른 포인트들에서는 바닥층 입질을 받을 수 있었습니다. 포인트 마다 낚여올라온 볼락의 씨알도 약간씩 차이나는 출조였습니다. 내일도 밤볼락 출조합니다. 매일 오후4시30분 밤볼락 출조합니다. 통영권 매물도,좌사리도,국도,연화도, 욕지도, 두미도, 갈도까지 시즌동안 물때와 바다상황을 고려해 매일 볼락 찾아 열심히 출조합니다. >>>>> 예약현황 <<<<<>>> 볼락루어 전문출조 <<<>>> 실시간 예약창 <<<## 선상 24시https://cyfishing.sunsang24.com/ship/info 12/31 수요일 예약가능01/01 목요일 예약가능01/02 금요일 예약가능01/03 토요일 예약가능01/04 일요일 예약가능01/05 월요일 예약가능01/06 화요일 예약가능01/07 수요일 예약가능예약문의 010 4576 8989 두모호 선장 예약계좌 수협 0001 6619 3852 이경순 (두모호)• 계좌입금 순으로 예약확정 됩니다• 입금 후 반드시 문자 확인 바랍니다기상만 허락 한다면 매일 볼락루어 출조합니다볼락루어 낚시 전문 ....달아두모호 입니다..====================######### 신분증 지참 / 구명복 착용 / 선내 음주금지.######### 지그헤드 1~ 5그램 / 전용릴 / 전용낚시대========================================## 루어선상 전문출조선 입니다.. 선상출조객만 모십니다. ##밴드가입 https://band.us/@tongkeunho 출조시 매일 오후8시 라이브 방송유튜버 실시간 조황https://youtube.com/@fish1788?si=KIzikh6MoAC1y43J# 선상출조만 합니다.# 출조비 : 욕지권,매물도권10만, 원도권 12만(통영 최고의 따뜻한 도시락 제공)# 선내 : 커피, 생수 완비# 볼락출조: 오후 4시30분 - 새벽1시 철수# 출 조 지 : 갈도,좌사리도,매물도, 욕지권 전문출조==================================## 경남 통영시 산양읍 미남리 822-12## 두모호 이선장 010 - 4576 – 8989 #갈치 #텐빈 #볼락루어 #참돔타이라바#방어지깅 #한치 *** 통영 두모호 예약 안내 ***예약문의 : 010-4576-8989오시는길 : 경남 통영시 산양읍 산양일주로 285홈페이지 : https://cyfishing.sunsang24.com/
[ 두모1호 ] 12/28 볼락루어 출항 조황* 볼락루어 전용선 매일 출조 *>> 볼락 산부인과 원장님 욕지권 왕진 조황 <<볼락 산부인과 원장님 https://youtube.com/shorts/4ePNSn_esGs?si=W_BFsSLmdcuGMh8K서풍계열의 바람이 다소 분다는 예보였지만 잔잔한 바다상황이었습니다. 시즌 첫 수중여 포인트를 진입 하였으며 낚여 올라오는 볼락의 씨알은 왕사미 급 이었습니다. 낚으신 조사님들 대부분이 손맛 만 보시고방생 하셨습니다. 감사합니다. 두어 군데 진입한 포인트에서는 우당탕 타임도 잠깐 가질 수 있었습니다. 매일 오후4시30분 밤볼락 출조합니다. 통영권 매물도,좌사리도,국도,연화도, 욕지도, 두미도, 갈도까지 시즌동안 물때와 바다상황을 고려해 매일 볼락 찾아 열심히 출조합니다. >>>>> 예약현황 <<<<<>>> 볼락루어 전문출조 <<<>>> 실시간 예약창 <<<## 선상 24시https://cyfishing.sunsang24.com/ship/info 12/29 월요일 예약가능12/30 화요일 예약가능12/31 수요일 예약가능01/01 목요일 예약가능01/02 금요일 예약가능01/03 토요일 예약가능01/04 일요일 예약가능01/05 월요일 예약가능예약문의 010 4576 8989 두모호 선장 예약계좌 수협 0001 6619 3852 이경순 (두모호)• 계좌입금 순으로 예약확정 됩니다• 입금 후 반드시 문자 확인 바랍니다기상만 허락 한다면 매일 볼락루어 출조합니다볼락루어 낚시 전문 ....달아두모호 입니다..====================######### 신분증 지참 / 구명복 착용 / 선내 음주금지.######### 지그헤드 1~ 5그램 / 전용릴 / 전용낚시대========================================## 루어선상 전문출조선 입니다.. 선상출조객만 모십니다. ##밴드가입 https://band.us/@tongkeunho 출조시 매일 오후8시 라이브 방송유튜버 실시간 조황https://youtube.com/@fish1788?si=KIzikh6MoAC1y43J# 선상출조만 합니다.# 출조비 : 욕지권,매물도권10만, 원도권 12만(통영 최고의 따뜻한 도시락 제공)# 선내 : 커피, 생수 완비# 볼락출조: 오후 4시30분 - 새벽1시 철수# 출 조 지 : 갈도,좌사리도,매물도, 욕지권 전문출조==================================## 경남 통영시 산양읍 미남리 822-12## 두모호 이선장 010 - 4576 – 8989 #갈치 #텐빈 #볼락루어 #참돔타이라바#방어지깅 #한치 *** 통영 두모호 예약 안내 ***예약문의 : 010-4576-8989오시는길 : 경남 통영시 산양읍 산양일주로 285홈페이지 : https://cyfishing.sunsang24.com/
[두모2호]12/27출항 빅게임 대방어 지깅 조황* 대방어 지깅 빅게임 9.77톤 전용선 출항 *- 홍도 구을비도 지깅 조황 - 며칠만에 기상이 호전되어 지깅 다녀왔습니다. 오전에 구을비도에서 열낚 하였지만 낱마리조과에 그치고 만조 물돌이 보러 홍도로 갔지만 마찮가지 조황 이었습니다. 구을비도에서 계속 버틴 선단은 잠시 우당탕 타임이 있어 선방 하였습니다. 지깅장비대여055 644 5874 척포낚시 문의매일 오전6시 안경섬 홍도 구을비도 원도권 빅게임 방어 지깅집중 출조합니다. >> 자리는 추첨 입니다. (30분 전 도착)♤♤안경섬 홍도,국도,좌사리도,갈도 출조>> 방어 지깅 출조 안내 <<선비 : 13만 (도시락 포함)출발 : 오전 06시철수 : 오후 14시(유동적)승선정원 : 22명 (낚시객 12명) ※선내지급도시락 - 간식 - 라면ㆍ캔커피ㆍ생수 • 등************************>> 대장쿨러 차에 두고 오십시오. 배에서 시메 하여 가지고 가실수 있도록 최선을 다해 드립니다. 예약문의 010 4576 8989 두모호 선장 예약계좌 수협 0001 6619 3852 이경순(두모호)• 계좌입금 순으로 예약확정 됩니다• 입금 후 반드시 문자 확인 바랍니다 >>>>> 예약현황 <<<<< >> 방어 지깅 전문출조 <<>> 선상24시 예약사이트 바로가기 <<https://cyfishing.sunsang24.com/ship/schedule_fleet/12/28 일요일 예약완료12/29 월요일 예약가능12/30 화요일 예약가능12/31 수요일 예약가능01/01 목요일 예약가능01/02 금요일 예약가능01/03 토요일 예약가능01/04 일요일 예약가능>> 방어지깅 출조전 꼭 준비 하세요 <<# 지깅로드# 원줄 합사 4호# 메탈지그 200g-300g# 쇼크리드 70lb-80lb# 지깅훅7호-8호# 볼베어링 스위벨 도래 5호-6호# 스필릿링 6호-8호====================######### 신분증 지참 / 구명복 착용 / 선내 음주금지.######### 구명복 선내 비치되어 있으며 무료대여 해 드립니다.========================================## 선상 전문출조선 입니다.. 선상출조객만 모십니다. ##밴드가입 https://band.us/@tongkeunho 유투브 두모호 바다낚시 실시간조황TVhttps://youtube.com/@fish1788?si=NTsa_n20I9QdHx3w==================================## 경남 통영시 산양읍 산양일주로 285 영운항 ## 두모호 이선장 010 - 4576 – 8989 #두모호 #갈치텐빈 #볼락루어 #방어지깅 #참돔타이라바 #한치 *** 통영 두모호 예약 안내 ***예약문의 : 010-4576-8989오시는길 : 경남 통영시 산양읍 산양일주로 285홈페이지 : https://cyfishing.sunsang24.com/
[ 두모1호 ] 12/27 볼락루어 출항 조황* 볼락루어 전용선 매일 출조 *>> 욕지부속섬 조황 <<잔잔한 바다상황 이었습니다. 조금물때를 감안하여 규모가 작은 욕지부속섬으로 출조를 하였습니다. 해가 지기전부터 시작된 입질은 철수때까지 우당탕 따문따문 이어졌습니다. 많은양의 개체수가 섬을 뺑 돌아 포진해 있는것을 확인한 출조였습니다. 패턴을 잘 읽었던 조사님들은 마릿수 조과를 올릴수 있었습니다. 다만 전체적인 씨알면에서 아쉬움이 남았습니다. 매일 오후4시30분 밤볼락 출조합니다. 통영권 매물도,좌사리도,국도,연화도, 욕지도, 두미도, 갈도까지 시즌동안 물때와 바다상황을 고려해 매일 볼락 찾아 열심히 출조합니다. >>>>> 예약현황 <<<<<>>> 볼락루어 전문출조 <<<>>> 실시간 예약창 <<<## 선상 24시https://cyfishing.sunsang24.com/ship/info 12/28 일요일 예약가능12/29 월요일 예약가능12/30 화요일 예약가능12/31 수요일 예약가능01/01 목요일 예약가능01/02 금요일 예약가능01/03 토요일 예약가능01/04 일요일 예약가능예약문의 010 4576 8989 두모호 선장 예약계좌 수협 0001 6619 3852 이경순 (두모호)• 계좌입금 순으로 예약확정 됩니다• 입금 후 반드시 문자 확인 바랍니다기상만 허락 한다면 매일 볼락루어 출조합니다볼락루어 낚시 전문 ....달아두모호 입니다..====================######### 신분증 지참 / 구명복 착용 / 선내 음주금지.######### 지그헤드 1~ 5그램 / 전용릴 / 전용낚시대========================================## 루어선상 전문출조선 입니다.. 선상출조객만 모십니다. ##밴드가입 https://band.us/@tongkeunho 출조시 매일 오후8시 라이브 방송유튜버 실시간 조황https://youtube.com/@fish1788?si=KIzikh6MoAC1y43J# 선상출조만 합니다.# 출조비 : 욕지권,매물도권10만, 원도권 12만(통영 최고의 따뜻한 도시락 제공)# 선내 : 커피, 생수 완비# 볼락출조: 오후 4시30분 - 새벽1시 철수# 출 조 지 : 갈도,좌사리도,매물도, 욕지권 전문출조==================================## 경남 통영시 산양읍 미남리 822-12## 두모호 이선장 010 - 4576 – 8989 #갈치 #텐빈 #볼락루어 #참돔타이라바#방어지깅 #한치 *** 통영 두모호 예약 안내 ***예약문의 : 010-4576-8989오시는길 : 경남 통영시 산양읍 산양일주로 285홈페이지 : https://cyfishing.sunsang24.com/
[ 두모1호 ] 12/26 볼락루어 출항 조황* 볼락루어 전용선 매일 출조 *>> 욕지 본섬과 부속섬 조황 <<북풍계열의 바람이 다소 불었던 바다상황이었습니다. 욕지도 본섬으로 바로 진입하여 두세포인트 찍어 봤지만 낱마리 볼락만 낚을 수 있었습니다. 부속섬으로 이동하여 패턴을 잘 읽으신 조사님은 30여수 조과를 올릴수 있었으며 중치급이상의 씨알들이었습니다. 매일 오후4시30분 밤볼락 출조합니다. 통영권 매물도,좌사리도,국도,연화도, 욕지도, 두미도, 갈도까지 시즌동안 물때와 바다상황을 고려해 매일 볼락 찾아 열심히 출조합니다. >>>>> 예약현황 <<<<<>>> 볼락루어 전문출조 <<<>>> 실시간 예약창 <<<## 선상 24시https://cyfishing.sunsang24.com/ship/info 12/27 토요일 예약완료12/28 일요일 예약가능12/29 월요일 예약가능12/30 화요일 예약가능12/31 수요일 예약가능01/01 목요일 예약가능01/02 금요일 예약가능01/03 토요일 예약가능예약문의 010 4576 8989 두모호 선장 예약계좌 수협 0001 6619 3852 이경순 (두모호)• 계좌입금 순으로 예약확정 됩니다• 입금 후 반드시 문자 확인 바랍니다기상만 허락 한다면 매일 볼락루어 출조합니다볼락루어 낚시 전문 ....달아두모호 입니다..====================######### 신분증 지참 / 구명복 착용 / 선내 음주금지.######### 지그헤드 1~ 5그램 / 전용릴 / 전용낚시대========================================## 루어선상 전문출조선 입니다.. 선상출조객만 모십니다. ##밴드가입 https://band.us/@tongkeunho 출조시 매일 오후8시 라이브 방송유튜버 실시간 조황https://youtube.com/@fish1788?si=KIzikh6MoAC1y43J# 선상출조만 합니다.# 출조비 : 욕지권,매물도권10만, 원도권 12만(통영 최고의 따뜻한 도시락 제공)# 선내 : 커피, 생수 완비# 볼락출조: 오후 4시30분 - 새벽1시 철수# 출 조 지 : 갈도,좌사리도,매물도, 욕지권 전문출조==================================## 경남 통영시 산양읍 미남리 822-12## 두모호 이선장 010 - 4576 – 8989 #갈치 #텐빈 #볼락루어 #참돔타이라바#방어지깅 #한치 *** 통영 두모호 예약 안내 ***예약문의 : 010-4576-8989오시는길 : 경남 통영시 산양읍 산양일주로 285홈페이지 : https://cyfishing.sunsang24.com/
[ 두모1호 ] 12/24 볼락루어 출항 조황* 볼락루어 전용선 매일 출조 *>> 욕지부속섬 살아나는 조황 <<북풍계열의 바람이 다소 불었지만 포인트 진입 하기에는 별 어려움이 없었습니다. 진입한 포인트마다 집어등 언저리와 배 밑에서 어김없이 볼락이 부상하여 입질 하는 패턴 이었습니다. 또한 점점 입질 활성도 좋아지며 갯바위 가장자리에서 벗어난 포인트에서도 입질이 이어지는 본 시즌으로 돌입하는 통영권 밤볼락 패턴을 보이고 있습니다. 손빠른 조사님들은 중치급 볼락 50-60수는 거뜬히 조과를 올릴수 있었던 출조였습니다. 매일 오후4시30분 밤볼락 출조합니다. 통영권 매물도,좌사리도,국도,연화도, 욕지도, 두미도, 갈도까지 시즌동안 물때와 바다상황을 고려해 매일 볼락 찾아 열심히 출조합니다. >>>>> 예약현황 <<<<<>>> 볼락루어 전문출조 <<<>>> 실시간 예약창 <<<## 선상 24시https://cyfishing.sunsang24.com/ship/info 12/25 목요일 기상악화12/26 금요일 예약가능12/27 토요일 예약가능12/28 일요일 예약가능12/29 월요일 예약가능12/30 화요일 예약가능12/31 수요일 예약가능01/01 목요일 예약가능예약문의 010 4576 8989 두모호 선장 예약계좌 수협 0001 6619 3852 이경순 (두모호)• 계좌입금 순으로 예약확정 됩니다• 입금 후 반드시 문자 확인 바랍니다기상만 허락 한다면 매일 볼락루어 출조합니다볼락루어 낚시 전문 ....달아두모호 입니다..====================######### 신분증 지참 / 구명복 착용 / 선내 음주금지.######### 지그헤드 1~ 5그램 / 전용릴 / 전용낚시대========================================## 루어선상 전문출조선 입니다.. 선상출조객만 모십니다. ##밴드가입 https://band.us/@tongkeunho 출조시 매일 오후8시 라이브 방송유튜버 실시간 조황https://youtube.com/@fish1788?si=KIzikh6MoAC1y43J# 선상출조만 합니다.# 출조비 : 욕지권,매물도권10만, 원도권 12만(통영 최고의 따뜻한 도시락 제공)# 선내 : 커피, 생수 완비# 볼락출조: 오후 4시30분 - 새벽1시 철수# 출 조 지 : 갈도,좌사리도,매물도, 욕지권 전문출조==================================## 경남 통영시 산양읍 미남리 822-12## 두모호 이선장 010 - 4576 – 8989 #갈치 #텐빈 #볼락루어 #참돔타이라바#방어지깅 #한치 *** 통영 두모호 예약 안내 ***예약문의 : 010-4576-8989오시는길 : 경남 통영시 산양읍 산양일주로 285홈페이지 : https://cyfishing.sunsang24.com/
[ 두모1호 ] 12/23 볼락루어 출항 조황* 볼락루어 전용선 매일 출조 *>> 욕지부속섬 조황 <<자주 뵙는 세분과 밤볼락 다녀왔습니다. 가랑비 수준의 비는 잠시 내렸지만 바다기상은 양호한 편이었습니다. 어제보다는 마릿수가 조금 덜 했지만 씨알급을 포함해 평균조황은 찍을 수 있었던 출조였습니다. 내일도 욕지권 밤볼락 출조합니다. 매일 오후4시30분 밤볼락 출조합니다. 통영권 매물도,좌사리도,국도,연화도, 욕지도, 두미도, 갈도까지 시즌동안 물때와 바다상황을 고려해 매일 볼락 찾아 열심히 출조합니다. >>>>> 예약현황 <<<<<>>> 볼락루어 전문출조 <<<>>> 실시간 예약창 <<<## 선상 24시https://cyfishing.sunsang24.com/ship/info 12/24 수요일 예약가능12/25 목요일 예약가능12/26 금요일 예약가능12/27 토요일 예약가능12/28 일요일 예약가능12/29 월요일 예약가능12/30 화요일 예약가능12/31 수요일 예약가능예약문의 010 4576 8989 두모호 선장 예약계좌 수협 0001 6619 3852 이경순 (두모호)• 계좌입금 순으로 예약확정 됩니다• 입금 후 반드시 문자 확인 바랍니다기상만 허락 한다면 매일 볼락루어 출조합니다볼락루어 낚시 전문 ....달아두모호 입니다..====================######### 신분증 지참 / 구명복 착용 / 선내 음주금지.######### 지그헤드 1~ 5그램 / 전용릴 / 전용낚시대========================================## 루어선상 전문출조선 입니다.. 선상출조객만 모십니다. ##밴드가입 https://band.us/@tongkeunho 출조시 매일 오후8시 라이브 방송유튜버 실시간 조황https://youtube.com/@fish1788?si=KIzikh6MoAC1y43J# 선상출조만 합니다.# 출조비 : 욕지권,매물도권10만, 원도권 12만(통영 최고의 따뜻한 도시락 제공)# 선내 : 커피, 생수 완비# 볼락출조: 오후 4시30분 - 새벽1시 철수# 출 조 지 : 갈도,좌사리도,매물도, 욕지권 전문출조==================================## 경남 통영시 산양읍 미남리 822-12## 두모호 이선장 010 - 4576 – 8989 #갈치 #텐빈 #볼락루어 #참돔타이라바#방어지깅 #한치 *** 통영 두모호 예약 안내 ***예약문의 : 010-4576-8989오시는길 : 경남 통영시 산양읍 산양일주로 285홈페이지 : https://cyfishing.sunsang24.com/
[ 두모1호 ] 12/22 볼락루어 출항 조황* 볼락루어 전용선 매일 출조 *>> 욕지부속섬 마릿수 조황 <<어둠이 내리면서 북풍계열의 바람이 다소 불었습니다. 초저녁 진입한 포인트에서는 굵은씨알인 22-25cm급 볼락의 입질이 선미쪽에서 집중적으로 들어왔습니다. 하지만 선수쪽 초보조사님들은 입질 받는데 많은 어려움이 있었습니다. 하는수 없이 포인트 이동하여 표층입질로 이어지는 포인트에서 전체 조사님들이 마릿수 조과를 올릴 수 있었습니다. 욕지부속섬 대부분 포인트에 중치급 볼락과 굵은씨알의 볼락이 제법 많은 개체수가 포진 하였음을 확인 한 출조였습니다. 매일 오후4시30분 밤볼락 출조합니다. 통영권 매물도,좌사리도,국도,연화도, 욕지도, 두미도, 갈도까지 시즌동안 물때와 바다상황을 고려해 매일 볼락 찾아 열심히 출조합니다. >>>>> 예약현황 <<<<<>>> 볼락루어 전문출조 <<<>>> 실시간 예약창 <<<## 선상 24시https://cyfishing.sunsang24.com/ship/info 12/23 화요일 예약가능12/24 수요일 예약가능12/25 목요일 예약가능12/26 금요일 예약가능12/27 토요일 예약가능12/28 일요일 예약가능12/29 월요일 예약가능12/30 화요일 예약가능예약문의 010 4576 8989 두모호 선장 예약계좌 수협 0001 6619 3852 이경순 (두모호)• 계좌입금 순으로 예약확정 됩니다• 입금 후 반드시 문자 확인 바랍니다기상만 허락 한다면 매일 볼락루어 출조합니다볼락루어 낚시 전문 ....달아두모호 입니다..====================######### 신분증 지참 / 구명복 착용 / 선내 음주금지.######### 지그헤드 1~ 5그램 / 전용릴 / 전용낚시대========================================## 루어선상 전문출조선 입니다.. 선상출조객만 모십니다. ##밴드가입 https://band.us/@tongkeunho 출조시 매일 오후8시 라이브 방송유튜버 실시간 조황https://youtube.com/@fish1788?si=KIzikh6MoAC1y43J# 선상출조만 합니다.# 출조비 : 욕지권,매물도권10만, 원도권 12만(통영 최고의 따뜻한 도시락 제공)# 선내 : 커피, 생수 완비# 볼락출조: 오후 4시30분 - 새벽1시 철수# 출 조 지 : 갈도,좌사리도,매물도, 욕지권 전문출조==================================## 경남 통영시 산양읍 미남리 822-12## 두모호 이선장 010 - 4576 – 8989 #갈치 #텐빈 #볼락루어 #참돔타이라바#방어지깅 #한치 *** 통영 두모호 예약 안내 ***예약문의 : 010-4576-8989오시는길 : 경남 통영시 산양읍 산양일주로 285홈페이지 : https://cyfishing.sunsang24.com/
[두모2호]12/20출항 빅게임 대방어 지깅 조황* 대방어 지깅 빅게임 9.77톤 전용선 출항 *- 홍도 대방어 지깅 조황 - 5분 모시고 홍도로 바로 직항 하였습니다. 지깅전문선들이 많았으며 방어 찌낚시 낚시선도 보였습니다. 60m권에서 오전 물돌이 시간대에 우당탕 입질이 들어와 대방어 랜딩에 성공 하였습니다. 평일 한산할 때 홍도는 진한 손맛 몸맛을 보여 줄것으로 기대해 봅니다. 오늘은 100% 방어로 출조를 마감 하였습니다. 매일 오전6시 안경섬 홍도 구을비도 원도권 빅게임 방어 지깅집중 출조합니다. >> 자리는 추첨 입니다. (30분 전 도착)♤♤안경섬 홍도,국도,좌사리도,갈도 출조>> 방어 지깅 출조 안내 <<선비 : 13만 (도시락 포함)출발 : 오전 06시철수 : 오후 16시(유동적)승선정원 : 22명 (낚시객 12명) ※선내지급도시락 - 간식 - 라면ㆍ캔커피ㆍ생수 • 등************************>> 대장쿨러 차에 두고 오십시오. 배에서 시메 하여 가지고 가실수 있도록 최선을 다해 드립니다. 예약문의 010 4576 8989 두모호 선장 예약계좌 수협 0001 6619 3852 이경순(두모호)• 계좌입금 순으로 예약확정 됩니다• 입금 후 반드시 문자 확인 바랍니다 >>>>> 예약현황 <<<<< >> 방어 지깅 전문출조 <<>> 선상24시 예약사이트 바로가기 <<https://cyfishing.sunsang24.com/ship/schedule_fleet/12/21 일요일 예약가능12/22 월요일 예약가능12/23 화요일 예약가능12/24 수요일 예약가능12/25 목요일 예약가능12/26 금요일 예약가능12/27 토요일 예약가능12/28 일요일 예약가능12/29 월요일 예약가능>> 방어지깅 출조전 꼭 준비 하세요 <<# 지깅로드# 원줄 합사 4호# 메탈지그 200g-300g# 쇼크리드 70lb-80lb# 지깅훅7호-8호# 볼베어링 스위벨 도래 5호-6호# 스필릿링 6호-8호====================######### 신분증 지참 / 구명복 착용 / 선내 음주금지.######### 구명복 선내 비치되어 있으며 무료대여 해 드립니다.========================================## 선상 전문출조선 입니다.. 선상출조객만 모십니다. ##밴드가입 https://band.us/@tongkeunho 유투브 두모호 바다낚시 실시간조황TVhttps://youtube.com/@fish1788?si=NTsa_n20I9QdHx3w==================================## 경남 통영시 산양읍 산양일주로 285 영운항 ## 두모호 이선장 010 - 4576 – 8989 #두모호 #갈치텐빈 #볼락루어 #방어지깅 #참돔타이라바 #한치 *** 통영 두모호 예약 안내 ***예약문의 : 010-4576-8989오시는길 : 경남 통영시 산양읍 산양일주로 285홈페이지 : https://cyfishing.sunsang24.com/
[ 두모1호 ] 12/19 볼락루어 출항 조황* 볼락루어 전용선 매일 출조 *>> 욕지부속섬 표층입질에 만쿨 반쿨 조황 <<잔잔한 바다상황이었지만 남쪽 포인트에는 너울성 파도가 제법 일었던 출조였습니다. 첫 포인트에서는 제법 굵은씨알의 볼락이 따문따문 들어왔지만 너울성 파도때문인지 바닥에서 떨어지지 않아 철저하게 바닥을 긁어야 입질을 받을 수 있었습니다. 이동한 포인트는 갯바위 가장자리쪽에 몰이 제법 보였으며 닻을 내리자마자 입질이 들어오기 시작하였습니다. 만조시간대 까지 꾸준하게 상층에서 입질을 하여 마릿수 조과에 많은 보탬이 있었습니다. 욕지부속섬에서도 표층에 부상한 볼락의 입질을 받을 수 있었던 출조였습니다. 매일 오후4시30분 밤볼락 출조합니다. 통영권 매물도,좌사리도,국도,연화도, 욕지도, 두미도, 갈도까지 시즌동안 물때와 바다상황을 고려해 매일 볼락 찾아 열심히 출조합니다. >>>>> 예약현황 <<<<<>>> 볼락루어 전문출조 <<<>>> 실시간 예약창 <<<## 선상 24시https://cyfishing.sunsang24.com/ship/info 12/20 토요일 예약가능12/21 일요일 예약가능12/22 월요일 예약가능12/23 화요일 예약가능12/24 수요일 예약가능12/25 목요일 예약가능12/26 금요일 예약가능12/27 토요일 예약가능예약문의 010 4576 8989 두모호 선장 예약계좌 수협 0001 6619 3852 이경순 (두모호)• 계좌입금 순으로 예약확정 됩니다• 입금 후 반드시 문자 확인 바랍니다기상만 허락 한다면 매일 볼락루어 출조합니다볼락루어 낚시 전문 ....달아두모호 입니다..====================######### 신분증 지참 / 구명복 착용 / 선내 음주금지.######### 지그헤드 1~ 5그램 / 전용릴 / 전용낚시대========================================## 루어선상 전문출조선 입니다.. 선상출조객만 모십니다. ##밴드가입 https://band.us/@tongkeunho 출조시 매일 오후8시 라이브 방송유튜버 실시간 조황https://youtube.com/@fish1788?si=KIzikh6MoAC1y43J# 선상출조만 합니다.# 출조비 : 욕지권,매물도권10만, 원도권 12만(통영 최고의 따뜻한 도시락 제공)# 선내 : 커피, 생수 완비# 볼락출조: 오후 4시30분 - 새벽1시 철수# 출 조 지 : 갈도,좌사리도,매물도, 욕지권 전문출조==================================## 경남 통영시 산양읍 미남리 822-12## 두모호 이선장 010 - 4576 – 8989 #갈치 #텐빈 #볼락루어 #참돔타이라바#방어지깅 #한치 *** 통영 두모호 예약 안내 ***예약문의 : 010-4576-8989오시는길 : 경남 통영시 산양읍 산양일주로 285홈페이지 : https://cyfishing.sunsang24.com/
[ 두모2호 ] 12/18 빅게임 대방어 지깅 조황* 대방어 지깅 빅게임 9.77톤 전용선 출항 *- 구을비도 간여권 지깅 조황 - 구을비도 간여 쪽으로 지깅 다녀왔습니다. 조류의 힘도 약하고 물색 또한 어두워 마릿수 조과에는 실패 하였습니다. 살아나는 물때를 기대 해 봅니다. 매일 오전6시 안경섬 홍도 구을비도 원도권 빅게임 방어 지깅집중 출조합니다. >> 자리는 추첨 입니다. (30분 전 도착)♤♤안경섬 홍도,국도,좌사리도,갈도 출조>> 방어 지깅 출조 안내 <<선비 : 13만 (도시락 포함)출발 : 오전 06시철수 : 오후 16시(유동적)승선정원 : 22명 (낚시객 12명) ※선내지급도시락 - 간식 - 라면ㆍ캔커피ㆍ생수 • 등************************>> 대장쿨러 차에 두고 오십시오. 배에서 시메 하여 신선하게 보관 후 가지고 가실수 있도록 최선을 다해 드립니다 예약문의 010 4576 8989 두모호 선장 예약계좌 수협 0001 6619 3852 이경순(두모호)• 계좌입금 순으로 예약확정 됩니다• 입금 후 반드시 문자 확인 바랍니다 >>>>> 예약현황 <<<<< >> 방어 지깅 전문출조 <<>> 선상24시 예약사이트 바로가기 <<https://cyfishing.sunsang24.com/ship/schedule_fleet/12/19 금요일 예약가능12/20 토요일 예약가능12/21 일요일 예약가능12/22 월요일 예약가능12/23 화요일 예약가능12/24 수요일 예약가능12/25 목요일 예약가능12/26 금요일 예약가능12/27 토요일 예약가능12/28 일요일 예약가능>> 방어지깅 출조전 꼭 준비 하세요 <<# 지깅로드# 원줄 합사 4호# 메탈지그 200g-300g# 쇼크리드 70lb-80lb# 지깅훅7호-8호# 볼베어링 스위벨 도래 5호-6호# 스필릿링 6호-8호====================######### 신분증 지참 / 구명복 착용 / 선내 음주금지.######### 구명복 선내 비치되어 있으며 무료대여 해 드립니다.========================================## 선상 전문출조선 입니다.. 선상출조객만 모십니다. ##밴드가입 https://band.us/@tongkeunho 유투브 두모호 바다낚시 실시간조황TVhttps://youtube.com/@fish1788?si=NTsa_n20I9QdHx3w==================================## 경남 통영시 산양읍 산양일주로 285 영운항 ## 두모호 이선장 010 - 4576 – 8989 #두모호 #갈치텐빈 #볼락루어 #방어지깅 #참돔타이라바 #한치 *** 통영 두모호 예약 안내 ***예약문의 : 010-4576-8989오시는길 : 경남 통영시 산양읍 산양일주로 285홈페이지 : https://cyfishing.sunsang24.com/
[ 두모1호 ] 12/17 볼락루어 출항 조황* 볼락루어 전용선 매일 출조 *>> 통영 준내만권 표층입질 조황 <<매물도권으로 출조계획을 세웠지만 거세게 불었던 북풍계열의 바람으로 인해 준내만권에 발목이 잡히고 말았습니다. 해지기전 선수쪽 여밭에서 따문따문 입질이 들어오기 시작 했으며 밤이 깊어지면서 집어등 주위로 표층까지 부상한 볼락들이 잠시잠시 피딩으로 이어지기도 하였습니다. 조사님들마다 조과차이는 있었지만 손빠른 조사님들은 만쿨에 가까운 조과를 올리기도 하였습니다. 내일은 진짜로 매물도권으로 출조계획 세워 봅니다. 매일 오후4시30분 밤볼락 출조합니다. 통영권 매물도,좌사리도,국도,연화도, 욕지도, 두미도, 갈도까지 시즌동안 물때와 바다상황을 고려해 매일 볼락 찾아 열심히 출조합니다. >>>>> 예약현황 <<<<<>>> 볼락루어 전문출조 <<<>>> 실시간 예약창 <<<## 선상 24시https://cyfishing.sunsang24.com/ship/info 12/18 목요일 예약가능12/19 금요일 예약가능12/20 토요일 예약가능12/21 일요일 예약가능12/22 월요일 예약가능12/23 화요일 예약가능12/24 수요일 예약가능12/25 목요일 예약가능예약문의 010 4576 8989 두모호 선장 예약계좌 수협 0001 6619 3852 이경순 (두모호)• 계좌입금 순으로 예약확정 됩니다• 입금 후 반드시 문자 확인 바랍니다기상만 허락 한다면 매일 볼락루어 출조합니다볼락루어 낚시 전문 ....달아두모호 입니다..====================######### 신분증 지참 / 구명복 착용 / 선내 음주금지.######### 지그헤드 1~ 5그램 / 전용릴 / 전용낚시대========================================## 루어선상 전문출조선 입니다.. 선상출조객만 모십니다. ##밴드가입 https://band.us/@tongkeunho 출조시 매일 오후8시 라이브 방송유튜버 실시간 조황https://youtube.com/@fish1788?si=KIzikh6MoAC1y43J# 선상출조만 합니다.# 출조비 : 욕지권,매물도권10만, 원도권 12만(통영 최고의 따뜻한 도시락 제공)# 선내 : 커피, 생수 완비# 볼락출조: 오후 4시30분 - 새벽1시 철수# 출 조 지 : 갈도,좌사리도,매물도, 욕지권 전문출조==================================## 경남 통영시 산양읍 미남리 822-12## 두모호 이선장 010 - 4576 – 8989 #갈치 #텐빈 #볼락루어 #참돔타이라바#방어지깅 #한치 *** 통영 두모호 예약 안내 ***예약문의 : 010-4576-8989오시는길 : 경남 통영시 산양읍 산양일주로 285홈페이지 : https://cyfishing.sunsang24.com/
[ 두모2호 ] 빅게임 대방어 지깅 조황12/18 출항 시작* 대방어 지깅 빅게임 9.77톤 전용선 출항 *- 대방어 지깅 집중 출조 시작 - 갈치시즌을 마무리 하고 12/18 목요일 부터 대방어 대부시리 지깅 집중 출조 합니다. 선내 지깅용 낚시대 전용릴 대여 해 드립니다. 매일 오전6시 안경섬 홍도 구을비도 원도권 집중 출조합니다. >> 자리는 추첨 입니다. (30분 전 도착)♤♤안경섬 홍도,국도,좌사리도,갈도 출조>> 방어 지깅 출조 안내 <<선비 : 13만 (도시락 포함)출발 : 오전 06시철수 : 오후 16시(유동적)승선정원 : 22명 (낚시객 12명) ※선내지급도시락 - 간식 - 라면ㆍ캔커피ㆍ생수 • 등************************>> 대장쿨러 차에 두고 오십시오. 배에서 심해 하여 신선하게 보관 후 가지고 가실수 있도록 최선을 다해 드립니다 예약문의 010 4576 8989 두모호 선장 예약계좌 수협 0001 6619 3852 이경순(두모호)• 계좌입금 순으로 예약확정 됩니다• 입금 후 반드시 문자 확인 바랍니다 >>>>> 예약현황 <<<<< >> 방어 지깅 전문출조 <<>> 선상24시 예약사이트 바로가기 <<https://cyfishing.sunsang24.com/ship/schedule_fleet/12/18 목요일 예약가능12/19 금요일 예약가능12/20 토요일 예약가능12/21 일요일 예약가능12/22 월요일 예약가능12/23 화요일 예약가능12/24 수요일 예약가능12/25 목요일 예약가능12/26 금요일 예약가능12/27 토요일 예약가능>> 대장쿨러 차에 두고 오십시오. 배에서 심해 하여 신선하게 보관 후 가지고 가실수 있도록 최선을 다해 드립니다 >> 방어지깅 출조전 꼭 준비 하세요 <<# 지깅로드# 원줄 합사 4호# 메달지그 200g-300g# 쇼크리드 70lb-80lb# 지깅훅7호-8호# 볼베어링 스위벨 도래 5호-6호# 스필릿링 6호-8호====================######### 신분증 지참 / 구명복 착용 / 선내 음주금지.######### 구명복 선내 비치되어 있으며 무료대여 해 드립니다.========================================## 선상 전문출조선 입니다.. 선상출조객만 모십니다. ##밴드가입 https://band.us/@tongkeunho 유투브 두모호 바다낚시 실시간조황TVhttps://youtube.com/@fish1788?si=NTsa_n20I9QdHx3w==================================## 경남 통영시 산양읍 산양일주로 285 영운항 ## 두모호 이선장 010 - 4576 – 8989 #두모호 #갈치텐빈 #볼락루어 #방어지깅 #참돔타이라바 #한치 *** 통영 두모호 예약 안내 ***예약문의 : 010-4576-8989오시는길 : 경남 통영시 산양읍 산양일주로 285홈페이지 : https://cyfishing.sunsang24.com/
[ 두모1호 볼락루어 ] 12/16 출항 조황볼락루어 전문선 매일 출조 >> 통영 준내만권 아쉬운 조황 <<잔잔한 바다기상 이었습니다. 오늘은 만조 때의 정조시간대가 약 한시간 이상 이어졌던 포인트 여건 이었습니다. 조류의 움직임이 거의 없다보니 볼락의 입질도 사악하게 들어왔습니다. 어제의 적당한 조류흐름에 높았던 활성도는 찾아보기 힘들었습니다. 하지만 패턴을 빨리 읽으신 조사님께서는 바닥층을 공략 하면서 순식간에 굵은씨알의 볼락을 반쿨을 채우기도 하였습니다. 물밑상황이 하루사이에 급변했던 출조였습니다. 내일은 매물도권으로 출조계획 세워 봅니다. 매일 오후4시30분 밤볼락 출조합니다. 통영권 매물도,좌사리도,국도,연화도, 욕지도, 두미도, 갈도까지 시즌동안 물때와 바다상황을 고려해 매일 볼락 찾아 열심히 출조합니다. >>>>> 예약현황 <<<<<>>> 볼락루어 전문출조 <<<>>> 실시간 예약창 <<<## 선상 24시https://cyfishing.sunsang24.com/ship/info 12/17 수요일 예약가능12/18 목요일 예약가능12/19 금요일 예약가능12/20 토요일 예약가능12/21 일요일 예약가능12/22 월요일 예약가능12/23 화요일 예약가능12/24 수요일 예약가능예약문의 010 4576 8989 두모호 선장 예약계좌 수협 0001 6619 3852 이경순 (두모호)• 계좌입금 순으로 예약확정 됩니다• 입금 후 반드시 문자 확인 바랍니다기상만 허락 한다면 매일 볼락루어 출조합니다볼락루어 낚시 전문 ....달아두모호 입니다..====================######### 신분증 지참 / 구명복 착용 / 선내 음주금지.######### 지그헤드 1~ 5그램 / 전용릴 / 전용낚시대========================================## 루어선상 전문출조선 입니다.. 선상출조객만 모십니다. ##밴드가입 https://band.us/@tongkeunho 출조시 매일 오후8시 라이브 방송유튜버 실시간 조황https://youtube.com/@fish1788?si=KIzikh6MoAC1y43J# 선상출조만 합니다.# 출조비 : 욕지권,매물도권10만, 원도권 12만(통영 최고의 따뜻한 도시락 제공)# 선내 : 커피, 생수 완비# 볼락출조: 오후 4시30분 - 새벽1시 철수# 출 조 지 : 갈도,좌사리도,매물도, 욕지권 전문출조==================================## 경남 통영시 산양읍 미남리 822-12## 두모호 이선장 010 - 4576 – 8989 #갈치 #텐빈 #볼락루어 #참돔타이라바*** 통영 두모호 예약 안내 ***예약문의 : 010-4576-8989오시는길 : 경남 통영시 산양읍 산양일주로 285홈페이지 : https://cyfishing.sunsang24.com/
[ 두모1호 볼락루어 ] 12/15 출항 조황볼락루어 전문선 매일 출조 >> 통영 준내만권 이어지는 쿨러 조황 <<오늘도 역시 볼락의 입질은 철수때까지 꾸준히 이어졌습니다. 활성도 또한 좋아서 수면위로 부상한 입질을 보였습니다. 특히 지그헤드 1g과 웜 채비에 반응 빨랐던 패턴 이었습니다. 한편 밤9시를 넘시면서 손빠른 조사님들의 쿨러는 이미 가득 하기도 하였습니다. 매일 오후4시30분 밤볼락 출조합니다. 통영권 매물도,좌사리도,국도,연화도, 욕지도, 두미도, 갈도까지 시즌동안 물때와 바다상황을 고려해 매일 볼락 찾아 열심히 출조합니다. >>>>> 예약현황 <<<<<>>> 볼락루어 전문출조 <<<>>> 실시간 예약창 <<<## 선상 24시https://cyfishing.sunsang24.com/ship/info 12/16 화요일 예약가능12/17 수요일 예약가능12/18 목요일 예약가능12/19 금요일 예약가능12/20 토요일 예약가능12/21 일요일 예약가능12/22 월요일 예약가능12/23 화요일 예약가능예약문의 010 4576 8989 두모호 선장 예약계좌 수협 0001 6619 3852 이경순 (두모호)• 계좌입금 순으로 예약확정 됩니다• 입금 후 반드시 문자 확인 바랍니다기상만 허락 한다면 매일 볼락루어 출조합니다볼락루어 낚시 전문 ....달아두모호 입니다..====================######### 신분증 지참 / 구명복 착용 / 선내 음주금지.######### 지그헤드 1~ 5그램 / 전용릴 / 전용낚시대========================================## 루어선상 전문출조선 입니다.. 선상출조객만 모십니다. ##밴드가입 https://band.us/@tongkeunho 출조시 매일 오후8시 라이브 방송유튜버 실시간 조황https://youtube.com/@fish1788?si=KIzikh6MoAC1y43J# 선상출조만 합니다.# 출조비 : 욕지권,매물도권10만, 원도권 12만(통영 최고의 따뜻한 도시락 제공)# 선내 : 커피, 생수 완비# 볼락출조: 오후 4시30분 - 새벽1시 철수# 출 조 지 : 갈도,좌사리도,매물도, 욕지권 전문출조==================================## 경남 통영시 산양읍 미남리 822-12## 두모호 이선장 010 - 4576 – 8989 #갈치 #텐빈 #볼락루어 #참돔타이라바*** 통영 두모호 예약 안내 ***예약문의 : 010-4576-8989오시는길 : 경남 통영시 산양읍 산양일주로 285홈페이지 : https://cyfishing.sunsang24.com/
[ 두모1호 볼락루어 ] 12/14 출항 조황볼락루어 전문선 매일 출조 >> 통영 준내만권 초대박 조황 <<바람이 다소 부는 가운데 두분 조사님 모시고 준내만권 다녀왔습니다. 집어등을 켜자마자 시작된 입질은 철수때까지 꾸준하게 이어졌습니다. 또한 수면위로 부상한 볼락의 강한 입질에 올시즌 최고의 활성도를 보였던 출조였습니다. 한편 밤10시즈음 이미 쿨러도장을 찍었으며 이후 볼락은 두모호 물칸으로 직항 하였습니다. 두분이서 약 50kg정도 조과를 올리시는 초대박 조황 이었습니다. 매일 오후4시30분 밤볼락 출조합니다. 통영권 매물도,좌사리도,국도,연화도, 욕지도, 두미도, 갈도까지 시즌동안 물때와 바다상황을 고려해 매일 볼락 찾아 열심히 출조합니다. >>>>> 예약현황 <<<<<>>> 볼락루어 전문출조 <<<>>> 실시간 예약창 <<<## 선상 24시https://cyfishing.sunsang24.com/ship/info 12/15 월요일 예약가능12/16 화요일 예약가능12/17 수요일 예약가능12/18 목요일 예약가능12/19 금요일 예약가능12/20 토요일 예약가능12/21 일요일 예약가능12/22 월요일 예약가능예약문의 010 4576 8989 두모호 선장 예약계좌 수협 0001 6619 3852 이경순 (두모호)• 계좌입금 순으로 예약확정 됩니다• 입금 후 반드시 문자 확인 바랍니다기상만 허락 한다면 매일 볼락루어 출조합니다볼락루어 낚시 전문 ....달아두모호 입니다..====================######### 신분증 지참 / 구명복 착용 / 선내 음주금지.######### 지그헤드 1~ 5그램 / 전용릴 / 전용낚시대========================================## 루어선상 전문출조선 입니다.. 선상출조객만 모십니다. ##밴드가입 https://band.us/@tongkeunho 출조시 매일 오후8시 라이브 방송유튜버 실시간 조황https://youtube.com/@fish1788?si=KIzikh6MoAC1y43J# 선상출조만 합니다.# 출조비 : 욕지권,매물도권10만, 원도권 12만(통영 최고의 따뜻한 도시락 제공)# 선내 : 커피, 생수 완비# 볼락출조: 오후 4시30분 - 새벽1시 철수# 출 조 지 : 갈도,좌사리도,매물도, 욕지권 전문출조==================================## 경남 통영시 산양읍 미남리 822-12## 두모호 이선장 010 - 4576 – 8989 #갈치 #텐빈 #볼락루어 #참돔타이라바*** 통영 두모호 예약 안내 ***예약문의 : 010-4576-8989오시는길 : 경남 통영시 산양읍 산양일주로 285홈페이지 : https://cyfishing.sunsang24.com/
[ 두모1호 볼락루어 ] 12/10 출항 조황볼락루어 전문선 매일 출조 >> 통영 욕지도 조황 <<욕지도 본섬 다녀왔습니다. 기상과 물때가 너무 완벽한 상황이라 첫 포인트로 검등여로 진입 하였지만 찹찹 했습니다. 조건이 맞지 않는 건지 볼락의 입질을 받아내지 못하였습니다. 몇자리 더 옮겨 봤지만 낱마리만 확인 할수 있었습니다. 주변 부속섬으로 이동하여 이삭줍기 조황에 그쳤습니다. 손빠른 조사님 두분은 반쿨조과를 올릴 수 있었습니다. 매일 오후4시30분 밤볼락 출조합니다. 통영권 매물도,좌사리도,국도,연화도, 욕지도, 두미도, 갈도까지 시즌동안 물때와 바다상황을 고려해 매일 볼락 찾아 열심히 출조합니다. >>>>> 예약현황 <<<<<>>> 볼락루어 전문출조 <<<>>> 실시간 예약창 <<<## 선상 24시https://cyfishing.sunsang24.com/ship/info 12/11 목요일 예약가능12/12 금요일 예약가능12/13 토요일 예약가능12/14 일요일 예약가능12/15 월요일 예약가능12/16 화요일 예약가능12/17 수요일 예약가능12/18 목요일 예약가능예약문의 010 4576 8989 두모호 선장 예약계좌 수협 0001 6619 3852 이경순 (두모호)• 계좌입금 순으로 예약확정 됩니다• 입금 후 반드시 문자 확인 바랍니다기상만 허락 한다면 매일 볼락루어 출조합니다볼락루어 낚시 전문 ....달아두모호 입니다..====================######### 신분증 지참 / 구명복 착용 / 선내 음주금지.######### 지그헤드 1~ 5그램 / 전용릴 / 전용낚시대========================================## 루어선상 전문출조선 입니다.. 선상출조객만 모십니다. ##밴드가입 https://band.us/@tongkeunho 출조시 매일 오후8시 라이브 방송유튜버 실시간 조황https://youtube.com/@fish1788?si=KIzikh6MoAC1y43J# 선상출조만 합니다.# 출조비 : 욕지권,매물도권10만, 원도권 12만(통영 최고의 따뜻한 도시락 제공)# 선내 : 커피, 생수 완비# 볼락출조: 오후 4시30분 - 새벽1시 철수# 출 조 지 : 갈도,좌사리도,매물도, 욕지권 전문출조==================================## 경남 통영시 산양읍 미남리 822-12## 두모호 이선장 010 - 4576 – 8989 #갈치 #텐빈 #볼락루어 #참돔타이라바*** 통영 두모호 예약 안내 ***예약문의 : 010-4576-8989오시는길 : 경남 통영시 산양읍 산양일주로 285홈페이지 : https://cyfishing.sunsang24.com/
[ 두모1호 볼락루어 ] 12/09 출항 조황볼락루어 전문선 매일 출조 >> 통영 욕지부속섬권 조황 <<몇분 조사님 모시고 욕지부속섬 다녀왔습니다. 몇 포인트 진입한 결과 꾸준한 입질을 받을순 없었고 진입 초반에 몇마리씩 입질을 하였지만 시간이 지나면서 소강상태로 바뀌는 패턴을 보였습니다. 포인트마다 볼락을 낚을 수 있었지만 물밑 조건이 맞지않은지 꾸준한 입질을 받을수 없었습니다. 내일도 욕지도 본섬 및 주변섬들 집중 탐색 들어갑니다. 매일 오후4시30분 밤볼락 출조합니다. 통영권 매물도,좌사리도,국도,연화도, 욕지도, 두미도, 갈도까지 시즌동안 물때와 바다상황을 고려해 매일 볼락 찾아 열심히 출조합니다. >>>>> 예약현황 <<<<<>>> 볼락루어 전문출조 <<<>>> 실시간 예약창 <<<## 선상 24시https://cyfishing.sunsang24.com/ship/info 12/10 수요일 예약가능12/11 목요일 예약가능12/12 금요일 예약가능12/13 토요일 예약가능12/14 일요일 예약가능12/15 월요일 예약가능12/16 화요일 예약가능12/17 수요일 예약가능12/18 목요일 예약가능예약문의 010 4576 8989 두모호 선장 예약계좌 수협 0001 6619 3852 이경순 (두모호)• 계좌입금 순으로 예약확정 됩니다• 입금 후 반드시 문자 확인 바랍니다기상만 허락 한다면 매일 볼락루어 출조합니다볼락루어 낚시 전문 ....달아두모호 입니다..====================######### 신분증 지참 / 구명복 착용 / 선내 음주금지.######### 지그헤드 1~ 5그램 / 전용릴 / 전용낚시대========================================## 루어선상 전문출조선 입니다.. 선상출조객만 모십니다. ##밴드가입 https://band.us/@tongkeunho 출조시 매일 오후8시 라이브 방송유튜버 실시간 조황https://youtube.com/@fish1788?si=KIzikh6MoAC1y43J# 선상출조만 합니다.# 출조비 : 욕지권,매물도권10만, 원도권 12만(통영 최고의 따뜻한 도시락 제공)# 선내 : 커피, 생수 완비# 볼락출조: 오후 4시30분 - 새벽1시 철수# 출 조 지 : 갈도,좌사리도,매물도, 욕지권 전문출조==================================## 경남 통영시 산양읍 미남리 822-12## 두모호 이선장 010 - 4576 – 8989 #갈치 #텐빈 #볼락루어 #참돔타이라바*** 통영 두모호 예약 안내 ***예약문의 : 010-4576-8989오시는길 : 경남 통영시 산양읍 산양일주로 285홈페이지 : https://cyfishing.sunsang24.com/
[ 두모1호 볼락루어 ] 12/08 출항 조황볼락루어 전문선 매일 출조 >> 통영 매물도권 조황 <<북풍계열의 바람이 불었지만 낚시 하기에는 별 지장없는 바다상황 이었습니다. 몇 포인트 옮겨 다니며 진입한 포인트마다 몇마리씩 솎아 낼수 있었습니다. 특히 오늘은 여밭지형의 얕은 갯바위 가장자리에서 집중적인 입질을 보였던 패턴이었습니다. 한편 작은쿨러는 만쿨을 수월하게 달성 할 수 있었던 출조였습니다. 매일 오후4시30분 밤볼락 출조합니다. 통영권 매물도,좌사리도,국도,연화도, 욕지도, 두미도, 갈도까지 시즌동안 물때와 바다상황을 고려해 매일 볼락 찾아 열심히 출조합니다. >>>>> 예약현황 <<<<<>>> 볼락루어 전문출조 <<<>>> 실시간 예약창 <<<## 선상 24시https://cyfishing.sunsang24.com/ship/info 12/09 화요일 예약가능12/10 수요일 예약가능12/11 목요일 예약가능12/12 금요일 예약가능12/13 토요일 예약가능12/14 일요일 예약가능12/15 월요일 예약가능12/16 화요일 예약가능12/17 수요일 예약가능예약문의 010 4576 8989 두모호 선장 예약계좌 수협 0001 6619 3852 이경순 (두모호)• 계좌입금 순으로 예약확정 됩니다• 입금 후 반드시 문자 확인 바랍니다기상만 허락 한다면 매일 볼락루어 출조합니다볼락루어 낚시 전문 ....달아두모호 입니다..====================######### 신분증 지참 / 구명복 착용 / 선내 음주금지.######### 지그헤드 1~ 5그램 / 전용릴 / 전용낚시대========================================## 루어선상 전문출조선 입니다.. 선상출조객만 모십니다. ##밴드가입 https://band.us/@tongkeunho 출조시 매일 오후8시 라이브 방송유튜버 실시간 조황https://youtube.com/@fish1788?si=KIzikh6MoAC1y43J# 선상출조만 합니다.# 출조비 : 욕지권,매물도권10만, 원도권 12만(통영 최고의 따뜻한 도시락 제공)# 선내 : 커피, 생수 완비# 볼락출조: 오후 4시30분 - 새벽1시 철수# 출 조 지 : 갈도,좌사리도,매물도, 욕지권 전문출조==================================## 경남 통영시 산양읍 미남리 822-12## 두모호 이선장 010 - 4576 – 8989 #갈치 #텐빈 #볼락루어 #참돔타이라바*** 통영 두모호 예약 안내 ***예약문의 : 010-4576-8989오시는길 : 경남 통영시 산양읍 산양일주로 285홈페이지 : https://cyfishing.sunsang24.com/
[ 두모1호 볼락루어 ] 12/06 출항 조황볼락루어 전문선 매일 출조 >> 통영 준내만권 조황 <<서풍계열의 바람이 다소 불었던 바다상황 이었습니다. 준내만권으로 출조하였으며 첫포인트에서 굵은씨알의 볼락이 따문따문 입질을 하였습니다. 하지만 이동한 포인트에서는 낱마리 입질로 마감한 출조였습니다. 12/7 일요일은 기상불량으로 휴항합니다. 매일 오후4시30분 밤볼락 출조합니다. 통영권 매물도,좌사리도,국도,연화도, 욕지도, 두미도, 갈도까지 시즌동안 물때와 바다상황을 고려해 매일 볼락 찾아 열심히 출조합니다. >>>>> 예약현황 <<<<<>>> 볼락루어 전문출조 <<<>>> 실시간 예약창 <<<## 선상 24시https://cyfishing.sunsang24.com/ship/info 12/07 일요일 기상불량12/08 월요일 예약가능12/09 화요일 예약가능12/10 수요일 예약가능12/11 목요일 예약가능12/12 금요일 예약가능12/13 토요일 예약가능12/14 일요일 예약가능12/15 월요일 예약가능예약문의 010 4576 8989 두모호 선장 예약계좌 수협 0001 6619 3852 이경순 (두모호)• 계좌입금 순으로 예약확정 됩니다• 입금 후 반드시 문자 확인 바랍니다기상만 허락 한다면 매일 볼락루어 출조합니다볼락루어 낚시 전문 ....달아두모호 입니다..====================######### 신분증 지참 / 구명복 착용 / 선내 음주금지.######### 지그헤드 1~ 5그램 / 전용릴 / 전용낚시대========================================## 루어선상 전문출조선 입니다.. 선상출조객만 모십니다. ##밴드가입 https://band.us/@tongkeunho 출조시 매일 오후8시 라이브 방송유튜버 실시간 조황https://youtube.com/@fish1788?si=KIzikh6MoAC1y43J# 선상출조만 합니다.# 출조비 : 욕지권,매물도권10만, 원도권 12만(통영 최고의 따뜻한 도시락 제공)# 선내 : 커피, 생수 완비# 볼락출조: 오후 4시30분 - 새벽1시 철수# 출 조 지 : 갈도,좌사리도,매물도, 욕지권 전문출조==================================## 경남 통영시 산양읍 미남리 822-12## 두모호 이선장 010 - 4576 – 8989 #갈치 #텐빈 #볼락루어 #참돔타이라바*** 통영 두모호 예약 안내 ***예약문의 : 010-4576-8989오시는길 : 경남 통영시 산양읍 산양일주로 285홈페이지 : https://cyfishing.sunsang24.com/
[ 두모1호 볼락루어 ] 12/04 출항 조황볼락루어 전문선 매일 출조 >> 통영 매물도권 조황 <<잔잔한 바다상황 이었습니다. 백중사리 물때로 인해 탁한 물색을 보였습니다. 또한 유속의 흐름이 빠른관계로 포인트 진입 어려웠습니다. 초저녁 시간대에 중치급 볼락의 입질을 잦게 받을수 있었으나 밤이 깊어질수록 쏨벵이, 붉바리의 입질이 더 많았던 패턴 이었습니다. 매일 오후4시30분 밤볼락 출조합니다. 통영권 매물도,좌사리도,국도,연화도, 욕지도, 두미도, 갈도까지 시즌동안 물때와 바다상황을 고려해 매일 볼락 찾아 열심히 출조합니다. >>>>> 예약현황 <<<<<>>> 볼락루어 전문출조 <<<>>> 실시간 예약창 <<<## 선상 24시https://cyfishing.sunsang24.com/ship/info 12/06 토요일 예약가능12/07 일요일 예약가능12/08 월요일 예약가능12/09 화요일 예약가능12/10 수요일 예약가능12/11 목요일 예약가능12/12 금요일 예약가능12/13 토요일 예약가능12/14 일요일 예약가능예약문의 010 4576 8989 두모호 선장 예약계좌 수협 0001 6619 3852 이경순 (두모호)• 계좌입금 순으로 예약확정 됩니다• 입금 후 반드시 문자 확인 바랍니다기상만 허락 한다면 매일 볼락루어 출조합니다볼락루어 낚시 전문 ....달아두모호 입니다..====================######### 신분증 지참 / 구명복 착용 / 선내 음주금지.######### 지그헤드 1~ 5그램 / 전용릴 / 전용낚시대========================================## 루어선상 전문출조선 입니다.. 선상출조객만 모십니다. ##밴드가입 https://band.us/@tongkeunho 출조시 매일 오후8시 라이브 방송유튜버 실시간 조황https://youtube.com/@fish1788?si=KIzikh6MoAC1y43J# 선상출조만 합니다.# 출조비 : 욕지권,매물도권10만, 원도권 12만(통영 최고의 따뜻한 도시락 제공)# 선내 : 커피, 생수 완비# 볼락출조: 오후 4시30분 - 새벽1시 철수# 출 조 지 : 갈도,좌사리도,매물도, 욕지권 전문출조==================================## 경남 통영시 산양읍 미남리 822-12## 두모호 이선장 010 - 4576 – 8989 #갈치 #텐빈 #볼락루어 #참돔타이라바*** 통영 두모호 예약 안내 ***예약문의 : 010-4576-8989오시는길 : 경남 통영시 산양읍 산양일주로 285홈페이지 : https://cyfishing.sunsang24.com/
[ 볼락루어 ] 12/04 조업출항 조황두모1호 볼락루어 전문선 >> 통영 준내만권 왕사미 쿨러조황 <<고르지 못한 바람이 다소 불었던 바다기상 이었지만 사무장님과 준내만권 으로 조업출항 다녀왔습니다. 밤10시 조금 지나면서 이미 쿨러는 가득했습니다. 씨알도 20cm넘는 준왕사미로 진한 손맛도 보고 준내만권 시즌볼락 입성도 확인한 출조였습니다. 시즌 초반 통영권에는 평년보다 굵은씨알의 볼락들이 많이 포진 해 있는 듯 합니다. 매일 오후4시30분 밤볼락 출조합니다. 통영권 매물도,좌사리도,국도,연화도, 욕지도, 두미도, 갈도까지 시즌동안 물때와 바다상황을 고려해 매일 볼락 찾아 열심히 출조합니다. >>>>> 예약현황 <<<<<>>> 볼락루어 전문출조 <<<>>> 실시간 예약창 <<<## 선상 24시https://cyfishing.sunsang24.com/ship/info 12/05 금요일 예약완료12/06 토요일 예약가능12/07 일요일 예약가능12/08 월요일 예약가능12/09 화요일 예약가능12/10 수요일 예약가능12/11 목요일 예약가능12/12 금요일 예약가능12/13 토요일 예약가능예약문의 010 4576 8989 두모호 선장 예약계좌 수협 0001 6619 3852 이경순 (두모호)• 계좌입금 순으로 예약확정 됩니다• 입금 후 반드시 문자 확인 바랍니다기상만 허락 한다면 매일 볼락루어 출조합니다볼락루어 낚시 전문 ....달아두모호 입니다..====================######### 신분증 지참 / 구명복 착용 / 선내 음주금지.######### 지그헤드 1~ 5그램 / 전용릴 / 전용낚시대========================================## 루어선상 전문출조선 입니다.. 선상출조객만 모십니다. ##밴드가입 https://band.us/@tongkeunho 출조시 매일 오후8시 라이브 방송유튜버 실시간 조황https://youtube.com/@fish1788?si=KIzikh6MoAC1y43J# 선상출조만 합니다.# 출조비 : 욕지권,매물도권10만, 원도권 12만(통영 최고의 따뜻한 도시락 제공)# 선내 : 커피, 생수 완비# 볼락출조: 오후 4시30분 - 새벽1시 철수시작# 출 조 지 : 갈도,좌사리도,매물도, 욕지권 전문출조==================================## 경남 통영시 산양읍 미남리 822-12## 두모호 이선장 010 - 4576 – 8989 #갈치 #텐빈 #볼락루어 #참돔타이라바*** 통영 두모호 예약 안내 ***예약문의 : 010-4576-8989오시는길 : 경남 통영시 산양읍 산양일주로 285홈페이지 : https://cyfishing.sunsang24.com/
[ 볼락루어 ] 12/01 출항 조황두모1호 볼락루어 전문선 >> 첫출조 31,30,28,25 왕사미 쿨러조황 <<25년 하반기 볼락시즌을 시작하였습니다. 첫캐스팅 부터 시원한 입질을 받을 수 있었으며 연타로 조사님들의 드렉소리가 울리기 시작하였습니다. 물때에 맞춰 이동하는 포인트마다 왕사미부터 중치급 사이즈가 마릿수로 나왔으며 손빠른 조사님께서는 밤11시 즈음 얼음없는 만쿨조황을 채우기도 하였습니다. 특히 31,30,28cm 왕사미 외 25cm 넘는 굵은씨알의 볼락도 다소 올라왔던 출조였습니다. 한편 상층 중층 바닥층에서 포인트에 따라 물때에 따라 달랐던 패턴을 보이기도 하였습니다. 시즌 첫출조 쿨러조황으로 시작 하였습니다. 매일 오후4시30분 밤볼락 출조합니다. 통영권 매물도,좌사리도,국도,연화도, 욕지도, 두미도, 갈도까지 시즌동안 물때와 바다상황을 고려해 매일 볼락 찾아 열심히 출조합니다. >>>>> 예약현황 <<<<<>>> 볼락루어 전문출조 <<<>>> 실시간 예약창 <<<## 선상 24시https://cyfishing.sunsang24.com/ship/info 12/02 화요일 예약가능12/03 수요일 예약가능12/04 목요일 예약가능12/05 금요일 예약가능12/06 토요일 예약가능12/07 일요일 예약가능12/08 월요일 예약가능예약문의 010 4576 8989 두모호 선장 예약계좌 수협 0010 4577 2694 나미향(두모호)• 계좌입금 순으로 예약확정 됩니다• 입금 후 반드시 문자 확인 바랍니다기상만 허락 한다면 매일 볼락루어 출조합니다볼락루어 낚시 전문 ....달아두모호 입니다..====================######### 신분증 지참 / 구명복 착용 / 선내 음주금지.######### 지그헤드 1~ 5그램 / 전용릴 / 전용낚시대========================================## 루어선상 전문출조선 입니다.. 선상출조객만 모십니다. ##밴드가입 https://band.us/@tongkeunho 출조시 매일 오후8시 라이브 방송유튜버 실시간 조황https://youtube.com/@fish1788?si=KIzikh6MoAC1y43J# 선상출조만 합니다.# 출조비 : 욕지권,매물도권10만, 원도권 12만(통영 최고의 따뜻한 도시락 제공)# 선내 : 커피, 생수 완비# 볼락출조: 오후 4시30분 - 새벽1시 철수시작# 출 조 지 : 갈도,좌사리도,매물도, 욕지권 전문출조==================================## 경남 통영시 산양읍 미남리 822-12## 두모호 이선장 010 - 4576 – 8989 #갈치 #텐빈 #볼락루어 #참돔타이라바*** 통영 두모호 예약 안내 ***예약문의 : 010-4576-8989오시는길 : 경남 통영시 산양읍 산양일주로 285홈페이지 : https://cyfishing.sunsang24.com/




























