조황관리HOME / 조황관리 / 상세정보

제목 : [ 볼락루어 ] 02/27 용초도 조황
등록일 : 2026-02-28












[ 두모1호 ] 02/27 볼락루어 출항 조황
* 볼락루어 전용선 매일 출조 *
>> 준내만권 밤볼락 조황 <<

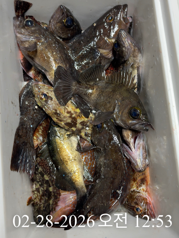
며칠동안 고르지 못한 기상으로 인해 강제 휴항 하다가 잔잔한 기상에 준내만권 다녀왔습니다. 
진입하는 포인트마다 몇마리씩 당찬 볼락의 손맛을 볼수 있었습니다. 

바다기상이 하루가 멀다하고 고르지 못한 예보 입니다. 출조전 기상체크 하시고 출조계획 잡으시기 바랍니다. 

매일 오후5시 밤볼락 출조합니다. 

통영권 매물도,좌사리도,국도,연화도, 욕지도, 두미도, 갈도까지 시즌동안 물때와 바다상황을 고려해 매일 볼락 찾아 열심히 출조합니다.


          >>>>> 예약현황 <<<<<

>>> 볼락루어 전문출조 <<<
>>> 실시간 예약창 <<<

## 선상 24시

02/28  토요일   예약완료
03/01  일요일   예약가능
03/02  화요일   예약가능
03/03  수요일   예약가능
03/04  목요일   예약가능
03/05  금요일   예약가능
03/06  토요일   예약가능

예약문의 010 4576 8989 두모호 선장 

예약계좌 
수협 0001 6619 3852 이경순 (두모호)

• 계좌입금 순으로 예약확정 됩니다
• 입금 후 반드시 문자 확인 바랍니다

기상만 허락 한다면 매일 볼락루어 출조합니다

볼락루어 낚시 전문 ....달아두모호 입니다..
====================
######### 신분증 지참 / 구명복 착용 / 선내 음주금지.
######### 지그헤드 1~ 5그램 / 전용릴 / 전용낚시대
========================================
## 루어선상 전문출조선 입니다.. 선상출조객만 모십니다. ##


출조시 매일 오후8시 
라이브 방송
유튜버 실시간 조황

# 선상출조만 합니다.
# 출조비 : 욕지권,매물도권10만, 원도권 12만
(통영 최고의 따뜻한 도시락 제공)
# 선내 : 커피, 생수 완비
# 볼락출조: 오후 5시 - 새벽1시 철수
# 출 조 지 : 갈도,좌사리도,매물도,
                     욕지권 전문출조
==================================
## 경남 통영시 산양읍 미남리 822-12
## 두모호 이선장 010 - 4576 – 8989 
#갈치 #텐빈 #볼락루어 #참돔타이라바
#방어지깅 #한치 #문어종일낚시 




*** 통영 두모호 예약 안내 ***


예약문의 : 010-4576-8989

오시는길 : 경남 통영시 산양읍 산양일주로 285


Top