조황관리HOME / 조황관리 / 상세정보

제목 : [ 볼락루어 ] 02/19 욕지부속섬 굵은씨알 밤볼락 조황
등록일 : 2026-02-20





















[ 두모1호 ] 02/19 볼락루어 출항 조황
* 볼락루어 전용선 매일 출조 *
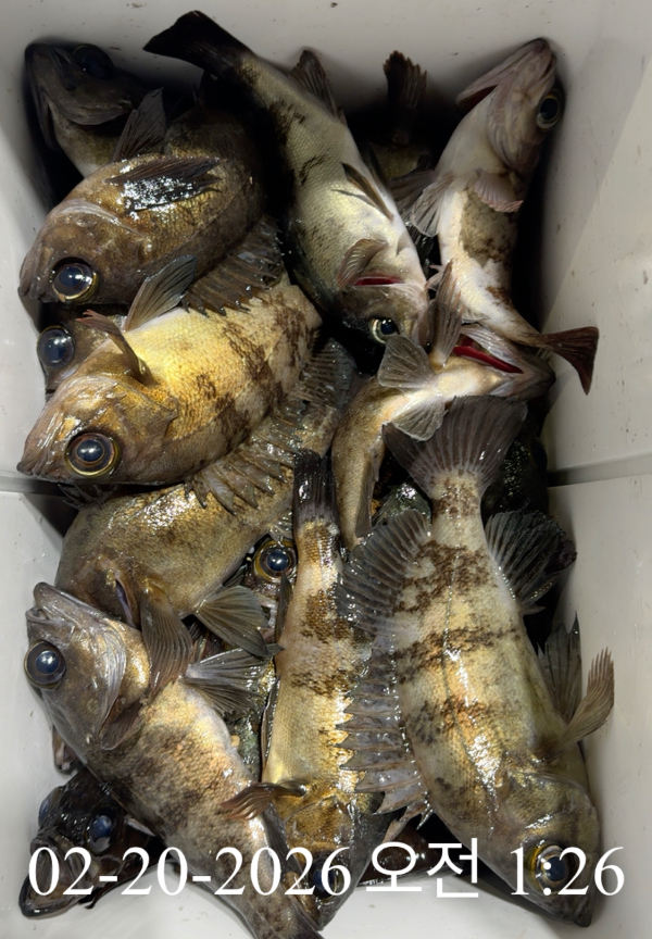
>> 욕지부속섬 굵은씨알 밤볼락 조황 <<

잔잔한 바다상황 이었습니다. 
욕지부속섬 첫포인트에서 손빠른 조사님께서는 20cm 넘는 씨알들로 거의 만쿨을 채웠습니다. 
몰밭속에 포진해 있는 씨알급 볼락들을 꼬시는 재미에 시간 가는 줄 몰랐던 출조였습니다. 

내일도 오후5시 밤볼락 출조합니다. 

매일 오후5시 밤볼락 출조합니다. 

통영권 매물도,좌사리도,국도,연화도, 욕지도, 두미도, 갈도까지 시즌동안 물때와 바다상황을 고려해 매일 볼락 찾아 열심히 출조합니다.


          >>>>> 예약현황 <<<<<

>>> 볼락루어 전문출조 <<<
>>> 실시간 예약창 <<<

## 선상 24시

02/20  금요일   예약가능
02/21  토요일   예약가능
02/22  일요일   예약가능
02/23  월요일   예약가능
02/24  화요일   예약가능
02/25  수요일   예약가능
02/26  목요일   예약가능
02/27  금요일   예약가능

예약문의 010 4576 8989 두모호 선장 

예약계좌 
수협 0001 6619 3852 이경순 (두모호)

• 계좌입금 순으로 예약확정 됩니다
• 입금 후 반드시 문자 확인 바랍니다

기상만 허락 한다면 매일 볼락루어 출조합니다

볼락루어 낚시 전문 ....달아두모호 입니다..
====================
######### 신분증 지참 / 구명복 착용 / 선내 음주금지.
######### 지그헤드 1~ 5그램 / 전용릴 / 전용낚시대
========================================
## 루어선상 전문출조선 입니다.. 선상출조객만 모십니다. ##


출조시 매일 오후8시 
라이브 방송
유튜버 실시간 조황

# 선상출조만 합니다.
# 출조비 : 욕지권,매물도권10만, 원도권 12만
(통영 최고의 따뜻한 도시락 제공)
# 선내 : 커피, 생수 완비
# 볼락출조: 오후 5시 - 새벽1시 철수
# 출 조 지 : 갈도,좌사리도,매물도,
                     욕지권 전문출조
==================================
## 경남 통영시 산양읍 미남리 822-12
## 두모호 이선장 010 - 4576 – 8989 
#갈치 #텐빈 #볼락루어 #참돔타이라바
#방어지깅 #한치 #문어종일낚시 




*** 통영 두모호 예약 안내 ***


예약문의 : 010-4576-8989

오시는길 : 경남 통영시 산양읍 산양일주로 285


Top