조황관리HOME / 조황관리 / 상세정보

제목 : [ 볼락루어 ] 12/10 출항 조황
등록일 : 2025-12-11















[ 두모1호 볼락루어 ] 12/10 출항 조황
볼락루어 전문선 매일 출조 
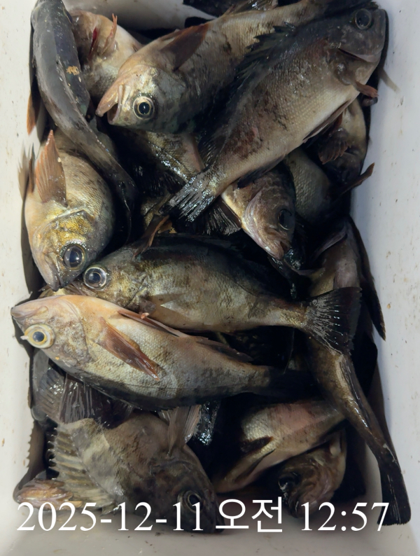
>> 통영 욕지도 조황 <<

욕지도 본섬 다녀왔습니다. 기상과 물때가 너무 완벽한 상황이라 첫 포인트로 검등여로 진입 하였지만 찹찹 했습니다. 조건이 맞지 않는 건지 볼락의 입질을 받아내지 못하였습니다.  몇자리 더 옮겨 봤지만 낱마리만 확인 할수 있었습니다. 주변 부속섬으로 이동하여 이삭줍기 조황에 그쳤습니다. 손빠른 조사님 두분은 반쿨조과를 올릴 수 있었습니다. 


매일 오후4시30분 밤볼락 출조합니다. 

통영권 매물도,좌사리도,국도,연화도, 욕지도, 두미도, 갈도까지 시즌동안 물때와 바다상황을 고려해 매일 볼락 찾아 열심히 출조합니다.


          >>>>> 예약현황 <<<<<

>>> 볼락루어 전문출조 <<<
>>> 실시간 예약창 <<<

## 선상 24시

12/11  목요일   예약가능
12/12  금요일   예약가능
12/13  토요일   예약가능
12/14  일요일   예약가능
12/15  월요일   예약가능
12/16  화요일   예약가능
12/17  수요일   예약가능
12/18  목요일   예약가능

예약문의 010 4576 8989 두모호 선장 

예약계좌 
수협 0001 6619 3852 이경순 (두모호)

• 계좌입금 순으로 예약확정 됩니다
• 입금 후 반드시 문자 확인 바랍니다

기상만 허락 한다면 매일 볼락루어 출조합니다

볼락루어 낚시 전문 ....달아두모호 입니다..
====================
######### 신분증 지참 / 구명복 착용 / 선내 음주금지.
######### 지그헤드 1~ 5그램 / 전용릴 / 전용낚시대
========================================
## 루어선상 전문출조선 입니다.. 선상출조객만 모십니다. ##


출조시 매일 오후8시 
라이브 방송
유튜버 실시간 조황

# 선상출조만 합니다.
# 출조비 : 욕지권,매물도권10만, 원도권 12만
(통영 최고의 따뜻한 도시락 제공)
# 선내 : 커피, 생수 완비
# 볼락출조: 오후 4시30분 - 새벽1시 철수
# 출 조 지 : 갈도,좌사리도,매물도,
                     욕지권 전문출조
==================================
## 경남 통영시 산양읍 미남리 822-12
## 두모호 이선장 010 - 4576 – 8989 
#갈치 #텐빈 #볼락루어 #참돔타이라바




*** 통영 두모호 예약 안내 ***


예약문의 : 010-4576-8989

오시는길 : 경남 통영시 산양읍 산양일주로 285


Top